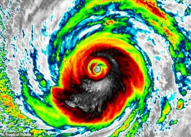
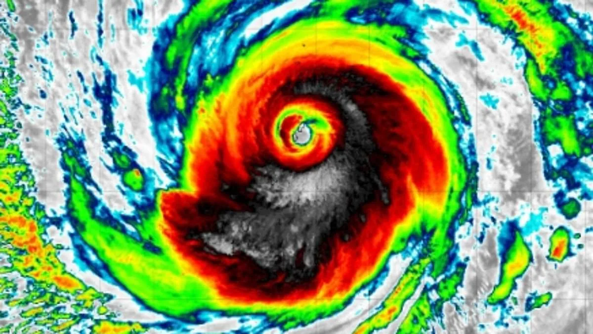
Super Typhoon Sinlaku is approaching US territories with extreme force. The Category 5 storm carries sustained winds of 173 mph. These winds exceed the 157 mph threshold for the highest rating. The system targets Guam and the Northern Mariana Islands. Saipan, Tinian, and Rota face the most direct impact. Guam has already experienced winds over 80 mph.

The storm brings risks of flooding, blackouts, and wind damage. NWS meteorologist Landon Aydlett warned of heavy rain and coastal impacts. He noted that a major slowdown could prolong the destruction. "It’s going to be a very long night," Aydlett told the Pacific Daily News.
The storm's impact on people is already evident. Nearly 2,000 tourists are currently stranded across US territories. In Guam, canceled flights have trapped 1,500 visitors. The storm's aftermath could disrupt local life for many months.

On Sunday, President Trump approved emergency disaster declarations. These orders allow FEMA to provide essential recovery supplies. The US military in Guam has been ordered to shelter in place. Guam's 170,000 residents face tropical storm-like conditions.

Guam is an unincorporated US territory where residents cannot vote. While hurricanes form in the Atlantic, typhoons form in the West Pacific. This level of danger is a significant concern for the region. The last Category 5 threat was Typhoon Yutu in 2018. That storm caused economic damage lasting for years. Sinlaku reached its current strength in only two days.

As a powerful typhoon prepares to strike the Mariana Islands, the threat of widespread devastation looms over the western Pacific. With sustained winds expected to exceed 140 mph on Tuesday, the 14-island archipelago is bracing for a period of intense destruction. Property damage is already being reported as the storm advances toward the US commonwealth.

The human impact of the approaching storm is significant, with an estimated 400 tourists believed to be trapped within the territory. For the roughly 47,000 residents, primarily located on Saipan, the coming hours are expected to be harrowing. "Many of you up there in the CNMI probably have a sleepless night, as it's going to be very loud, a lot of action going on and unfortunately, a lot of damage," one observer noted, capturing the mounting anxiety.
The Northern Mariana Islands, which include Saipan, Tinian, and Rota, possess a unique socio-political landscape. While English is the official language and residents are US citizens, they are unable to vote in federal elections. However, a special agreement established with Congress in 1975 provides the islands with more self-governing autonomy than other US commonwealths. The region's economy is deeply tied to tourism, centered on its world-class diving, beaches, and significant World War II historical sites.

The storm also threatens a critical pillar of US Pacific strategy. Guam, a vital military hub, sees approximately one-third of its land occupied by US military installations. Andersen Air Force Base, a key site for long-range bombers like the B-52 and B-2—aircraft capable of carrying nuclear weapons—is in the storm's path. Additionally, Naval Base Guam provides essential logistics and support for the US Pacific Fleet and serves as a home for attack submarines. The convergence of such high-stakes military assets and vulnerable civilian communities highlights the profound risks posed by the approaching tempest.